Lo sentimos, pero necesita habilitar JavaScript para navegar por este sitio.
  • CEIP Vicente Aleixandre de La Algaba (Sevilla)
    Inversión de 1,7 millones para un nuevo edificio en el CEIP Vicente Aleixandre de La Algaba
    La Consejería de Educación, a través del Ente Público Andaluz de Infraestructuras y Servicios Educativos (ISE Andalucía), licita las obras recogidas en el Plan OLA de sustitución parcial del CEIP Vicente Aleixandre de La Algaba, en el que se construirán nuevas instalaciones de Infantil
    CEIP Vicente Aleixandre de La Algaba (Sevilla)
05/09/2013
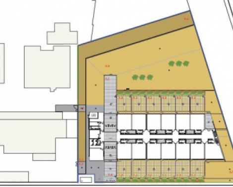
La Consejería de Educación, a través del Ente Público Andaluz de Infraestructuras y Servicios Educativos (ISE Andalucía), ha hecho pública la licitación de las obras de sustitución parcial del colegio de Educación Infantil y Primaria (CEIP) Vicente Aleixandre de La Algaba (Sevilla), enmarcadas en el Plan de Oportunidades Laborales en Andalucía (Plan OLA). La actuación, con un presupuesto de licitación de 1.723.171,90 euros y un plazo estimado de ejecución de ocho meses, generará alrededor de 40 puestos de trabajo durante su desarrollo.La obra supondrá la construcción, en una parcela contigua al centro, de un nuevo edificio para el alumnado de educación infantil. Esta actuación permitirá la retirada de cuatro aulas prefabricadas y supondrá ampliar en 150 las plazas existentes para este nivel educativo, ya que el nuevo edificio contará con capacidad para 300 niños y niñas.Así, sobre una parcela de 5.000 metros cuadrados se levantará un edificio con más de 1.300 metros cuadrados construidos que contará con 12 aulas de infantil, un espacio común, una sala de profesorado, almacén y aseos para alumnado y profesorado. La creación de este espacio beneficiará al conjunto del alumnado del centro, compuesto por 485 niños y niñas de Infantil y Primaria.Esta actuación se incluye en el Plan de Oportunidades Laborales en Andalucía (Plan OLA) aprobado por el Gobierno andaluz con el objetivo de mejorar las infraestructuras educativas y fomentar el empleo en el sector de la construcción. En la provincia de Sevilla, el Plan OLA prevé generar en torno a 1.751 puestos de trabajo mediante la realización de obras en centros educativos. La ejecución de este Plan, que cuenta con cofinanciación del Fondo Europeo de Desarrollo Regional (FEDER) y el Fondo Social Europeo (FSE), se lleva a cabo por la Consejería de Educación a través del Ente Público Andaluz de Infraestructuras y Servicios Educativos (ISE Andalucía).